Part 5 - Land Use Districts / Residential Districts
MDR
This part outlines specific regulation that applies to the City’s Land Use Districts.
5.6 MDR – Medium-Density Residential District
- Application
This section applies to the areas designated as Medium-Density Residential (MDR) District on the Land Use District Map, Schedule A of this Bylaw. - Purpose
The purpose of the MDR District is to provide an area that allows for a range of medium-density housing options and other developments that are compatible with the residential nature of the District. - Permitted and Discretionary Uses
| Permitted Uses | Discretionary Uses | |
|---|---|---|
| (i) | a) Community Garden means an area on a whole site or part of a site where flowers, vegetables, or fruit are cultivated for consumption or distribution on a not-for-profit basis. | b) Dwelling (Semi-Detached) means a single building containing two side-by-side dwelling units, each with its own title and direct connection to finished grade, and separated from each other by a party wall extending from foundation to roof, which is designed and constructed as two dwellings at the time of initial construction of the building. This use does not include dwelling (duplex). on the lands identified on Figure 5-5 |
| (ii) | a) Dwelling (Apartment) means a building containing three or more principal dwelling units with a common entrance from the exterior. | b) Home-Based Business (Level Two) means an Accessory Development in a dwelling unit or an accessory building, for a business that is operated by a permanent resident of the dwelling unit, and may include one employee who does not reside on the property. This use does not include animal service, automotive (service), automotive specialty, fleet service, or a dry cleaner. |
| (iii) | a) Dwelling (Townhouse-Complex) means a development comprised of one or more buildings, each containing three or more dwelling units, all on a lot, where each unit has a separate, direct entrance from the exterior to grade. No dwelling (townhouse-complex) shall have less than five dwelling units total. This use may also include stacked townhousing, or a development of a mixed form, including townhousing incorporated with a dwelling (apartment) or dwelling unit above a non-residential use. | b) Public Utility Building means a development in which the owner or operator of a public utility maintains or houses any operation in connection with the distribution of a public utility, but does not include any development for the production of electric power or gas. |
| (iv) | a) Dwelling (Townhouse-Single) means a building comprised of three or more dwelling units, where each dwelling unit is on its own lot, and each unit has a separate, direct entrance from the exterior to grade. on the lands identified on Figure 5-6 | b) Residential Sales Centre means a dwelling unit or temporary building used to exhibit dwelling units for sale, rent, or raffle. Typical uses include show or raffle homes. |
| (v) | a) Group Home means a development consisting of the use of a residential dwelling for care and supervision of occupants. A group home is intended to provide room and board for occupants requiring specialized or personal care, guidance, or supervision. The residential character of the development shall be primary, with the occupants living together as a single housekeeping group, and using cooking facilities shared in common. This does not include transitional accommodation. | b) Daycare Facility means a development used to provide care and supervision to seven or more children or adults. Typical development includes daycare centres, preschools, kindergartens, and adult support programs., if it is accessory to a Dwelling (Apartment) means a building containing three or more principal dwelling units with a common entrance from the exterior. and integrated within the lower level(s) of the building |
| (vi) | a) Park means land that is intended to be used by the public for active and passive recreation, or general enjoyment. | b) Accessory means subordinate, incidental to, and exclusively devoted to a principal use or principal building. Development to a Discretionary Use, Deck means a raised platform, normally attached to a dwelling unit, which projects beyond the principal building, including balconies. that are greater than 4.92 ft. above Finished Grade means the elevation of the ground upon placement of soil and sod above the rough grade, or as may be identified on plot plans., Private Pool means any private swimming pool, whether above or below the ground. This does not include a decorative pond or hot tub., and Decorative Pond means any decorative pond, whether above or below the ground. This does not include a private pool. |
| (vii) | a) Supportive Living Accommodation means a development, in a multiple-dwelling or sleeping-unit form, that provides residents with access to on-site professional care and daily living support, and is recognized, authorized, licensed, or certified by a public authority. | |
| (viii) | a) For a Dwelling (Townhouse) means a building comprised of three or more dwelling units, where each unit has a separate, direct entrance from the exterior to grade, and includes dwelling (townhouse-single), dwelling (townhouse-plex), and dwelling (townhouse-complex). Typical examples include back-to-back townhouses, stacked townhouses, and street-oriented townhouses. only, Accessory means subordinate, incidental to, and exclusively devoted to a principal use or principal building. Development, excluding Deck means a raised platform, normally attached to a dwelling unit, which projects beyond the principal building, including balconies. that are greater than 4.92 ft. above Finished Grade means the elevation of the ground upon placement of soil and sod above the rough grade, or as may be identified on plot plans., Private Pool means any private swimming pool, whether above or below the ground. This does not include a decorative pond or hot tub., and Decorative Pond means any decorative pond, whether above or below the ground. This does not include a private pool. |
- Dwelling (Townhouse)
- Refer to section 3.56 ‘ Dwelling (Townhouse) means a building comprised of three or more dwelling units, where each unit has a separate, direct entrance from the exterior to grade, and includes dwelling (townhouse-single), dwelling (townhouse-plex), and dwelling (townhouse-complex). Typical examples include back-to-back townhouses, stacked townhouses, and street-oriented townhouses.’ for regulations regarding Dwelling (Townhouse-Complex) means a development comprised of one or more buildings, each containing three or more dwelling units, all on a lot, where each unit has a separate, direct entrance from the exterior to grade. No dwelling (townhouse-complex) shall have less than five dwelling units total. This use may also include stacked townhousing, or a development of a mixed form, including townhousing incorporated with a dwelling (apartment) or dwelling unit above a non-residential use. and Dwelling (Townhouse-Single) means a building comprised of three or more dwelling units, where each dwelling unit is on its own lot, and each unit has a separate, direct entrance from the exterior to grade.
- Lot Area
- The minimum Lot Area means the area of a lot, including any area dedicated to an easement or a right-of-way, as shown on a plan of subdivision or described in a copy of a certificate of title. is 0.19 acres, excluding a Dwelling (Townhouse-Single) means a building comprised of three or more dwelling units, where each dwelling unit is on its own lot, and each unit has a separate, direct entrance from the exterior to grade..
- Lot Frontage
- The minimum Lot Frontage means the width of a lot or site at the front property line adjoining a public roadway. is 82.02 ft., excluding a Dwelling (Townhouse-Single) means a building comprised of three or more dwelling units, where each dwelling unit is on its own lot, and each unit has a separate, direct entrance from the exterior to grade..
- Site Density
- The minimum Site Density means the number of dwelling units per hectare of site area. for the site is 40 dwelling units per net hectare and cannot exceed a maximum of 100 dwelling units per net hectare.
- For the purpose of calculating the Site Area means the total area of a lot or site, including any area dedicated to an easement or right-of-way, as shown on a plan of subdivision registered in a land titles office., 296.01 sq. ft. may be added to the Lot Area means the area of a lot, including any area dedicated to an easement or a right-of-way, as shown on a plan of subdivision or described in a copy of a certificate of title. for every parking stall which is constructed underground or under a dwelling at Finished Grade means the elevation of the ground upon placement of soil and sod above the rough grade, or as may be identified on plot plans., if the Development Authority has the same meaning as set out in the MGA. considers this to be appropriate given site constraints. The site density may not exceed the identified maximum in section (a).
- Site Density Bonus
- Notwithstanding section 5.6(7)(a), the maximum
Site Density means the number of dwelling units per hectare of site area. may be increased up to 125 dwelling units per net hectare only if the following conditions are met:
- A minimum of 70% of required parking stalls are provided under a dwelling at Finished Grade means the elevation of the ground upon placement of soil and sod above the rough grade, or as may be identified on plot plans., in a Parking Structure (Underground) means a building or portion thereof used for the parking of vehicles, where the majority of the parking structure is contained below finished grade., or within a Parking Structure means a building or portion thereof used for the parking of vehicles, and may be located either below, at, or above finished grade. integrated within the building, including high-quality exterior finishing that matches or complements the principal building exterior, where site design permits; and
- A minimum of 5% of dwelling units shall be provided as Affordable Non-Market Housing is as defined in the Council Policy C-P&E-06 Affordable Housing.; and
- In the opinion of the Development Authority, at least one of the following site improvements are provided:
- Wider sidewalks or walkways internal to the site, together with street furniture, to the satisfaction of the Development Authority;
- Enhanced Landscaping means preserving, enhancing, or incorporating vegetative and other materials in a development, and includes combining new or existing vegetative materials with architectural elements, existing site features, or other development features – including fences or walls., to the satisfaction of the Development Authority;
- Landscaping that is drought-tolerant, reducing the need for irrigation;
- Green building products or technologies that reduce the carbon footprint or increase energy efficiency;
- [[Def word="Barrier-free" design incorporated into dwelling units and the exterior feature of the site; or
- Indoor or outdoor
Amenity Area (Common) means any portion of a development intended for active or passive recreation that is designed for the common usage of the owners and residents within a development. These areas may include one or more of the following: plazas, courtyards, recreation areas, swimming pools, tennis courts, bike storage rooms, common gathering rooms, gardens, private parks, and open spaces, including elements such as street furnishings, hard-surfacing, plantings, and architectural features that create a strong sense of communal gathering space., in addition to the minimum required common and
Amenity Area (Private) means a balcony, patio, deck, or other similar structure which is attached to and has a private entrance from the interior of a dwelling unit. when:
- Provided at a ratio of 16.15 sq. ft. per dwelling unit;
- Grouped into areas of not less than 322.91 sq. ft.; and
- Not located in any required Setback means the distance from the foundation wall of a building to the property line at right angles or radially to it. Where there is no foundation wall, the distance shall be measured from the exterior wall at grade, not including cantilevered wall sections or architectural projections..
- Notwithstanding section 5.6(7)(a), the maximum
Site Density means the number of dwelling units per hectare of site area. may be increased up to 125 dwelling units per net hectare only if the following conditions are met:
- Building Height
- The maximum building height of a principal building is 59.06 ft..
- The maximum building height of a Dwelling (Townhouse-Single) means a building comprised of three or more dwelling units, where each dwelling unit is on its own lot, and each unit has a separate, direct entrance from the exterior to grade. is 45.93 ft..
- Building Setbacks
-
Dwelling (Apartment) means a building containing three or more principal dwelling units with a common entrance from the exterior.
- Front yard
Setback means the distance from the foundation wall of a building to the property line at right angles or radially to it. Where there is no foundation wall, the distance shall be measured from the exterior wall at grade, not including cantilevered wall sections or architectural projections.
- The minimum front yard building setback is 19.65 ft..
- Side yard setback
- The minimum side yard building setback is 9.84 ft., plus an additional 3.28 ft. for each metre or portion thereof in height that the building exceeds 29.53 ft. from Finished Grade means the elevation of the ground upon placement of soil and sod above the rough grade, or as may be identified on plot plans., to a maximum side yard setback of 19.65 ft.; and
- For properties identified on Figure 5-5, if a lot is not serviced by a rear Access means an area that serves as the physical connection between a site and a public roadway. Lane means an alley as defined in the Traffic Safety Act, RSA 2000, c.T-6., at least one side yard must have a minimum building setback of 11.48 ft. to provide unobstructed vehicle access to the rear yard.
- Rear yard setback
- The minimum rear yard building Setback means the distance from the foundation wall of a building to the property line at right angles or radially to it. Where there is no foundation wall, the distance shall be measured from the exterior wall at grade, not including cantilevered wall sections or architectural projections. is 24.60 ft..
- Front yard
Setback means the distance from the foundation wall of a building to the property line at right angles or radially to it. Where there is no foundation wall, the distance shall be measured from the exterior wall at grade, not including cantilevered wall sections or architectural projections.
- Other
- The minimum building setback for an Accessory means subordinate, incidental to, and exclusively devoted to a principal use or principal building. building is 9.84 ft..
- Unless otherwise specified in this Bylaw, a Discretionary Use listed in section (3) must be set back from any Property Line means a line of record bounding a lot that divides one lot from another lot, a public roadway, or any other public space. as required by the Development Authority.
- A Public Utility Building means a development in which the owner or operator of a public utility maintains or houses any operation in connection with the distribution of a public utility, but does not include any development for the production of electric power or gas. must have a minimum setback from any property line as determined by the Development Authority.
-
Dwelling (Apartment) means a building containing three or more principal dwelling units with a common entrance from the exterior.
- Location of Buildings
- For the minimum separation distances for apartment buildings, refer to section 3.55 ‘Dwelling (Apartment) and Dwelling Unit Above A Non-Residential Use.’
- Design, Character, and Appearance
- In addition to the requirements in sections 3.12 ‘Design, Character, and Appearance of a Building’ and 3.52 ‘Design, Character, and Appearance of Residential Buildings,’ all buildings in this district must be finished as follows to the satisfaction of the
Development Authority has the same meaning as set out in the MGA.:
- Building exteriors shall be stucco, vinyl siding, fibre cement siding, wood siding, glass, brick, brick veneer, natural stone, wood timber, or metal accents.
- Notwithstanding section (i), alternative building materials may be considered if, in the opinion of the Development Authority, the proposed materials meet the overall character of the District.
- Building exteriors shall be stucco, vinyl siding, fibre cement siding, wood siding, glass, brick, brick veneer, natural stone, wood timber, or metal accents.
- In addition to the requirements in sections 3.12 ‘Design, Character, and Appearance of a Building’ and 3.52 ‘Design, Character, and Appearance of Residential Buildings,’ all buildings in this district must be finished as follows to the satisfaction of the
Development Authority has the same meaning as set out in the MGA.:
- Parking and Vehicular Access
- Driveway means a privately owned, hard-surfaced access that connects on-site parking areas to the public roadway. and vehicular Access means an area that serves as the physical connection between a site and a public roadway. for a Dwelling (Townhouse-Complex) means a development comprised of one or more buildings, each containing three or more dwelling units, all on a lot, where each unit has a separate, direct entrance from the exterior to grade. No dwelling (townhouse-complex) shall have less than five dwelling units total. This use may also include stacked townhousing, or a development of a mixed form, including townhousing incorporated with a dwelling (apartment) or dwelling unit above a non-residential use. shall only be provided from a Lane means an alley as defined in the Traffic Safety Act, RSA 2000, c.T-6. or private roadway.
- Surface parking must not encroach into any required front yard Setback means the distance from the foundation wall of a building to the property line at right angles or radially to it. Where there is no foundation wall, the distance shall be measured from the exterior wall at grade, not including cantilevered wall sections or architectural projections..
- Surface parking must not encroach into any required perimeter Landscaped Area means that portion of a site which is required to be landscaped. or Landscape Buffer means a landscaped area with dense landscaping, intended to separate and screen adjacent differing land uses..
- Dwelling (Semi-Detached)
- The Gross Floor Area means the total area of all floors of a building located totally or partially above finished grade, and the total area of all mechanical equipment areas. The area comprising the gross floor area must be enclosed or have a roof over the area, but does not require interior finishing. Gross floor area shall be measured: 1) To the outside surface of the exterior walls; or 2) Where buildings are separated by firewalls, to the centre line of the common firewalls., Lot Coverage means the percentage of the lot area covered by buildings., building height, and setbacks of a Dwelling (Semi-Detached) means a single building containing two side-by-side dwelling units, each with its own title and direct connection to finished grade, and separated from each other by a party wall extending from foundation to roof, which is designed and constructed as two dwellings at the time of initial construction of the building. This use does not include dwelling (duplex)., identified on Figure 5-5, shall comply with requirements within the LDR District.
- Dwelling (Townhouse-Single)
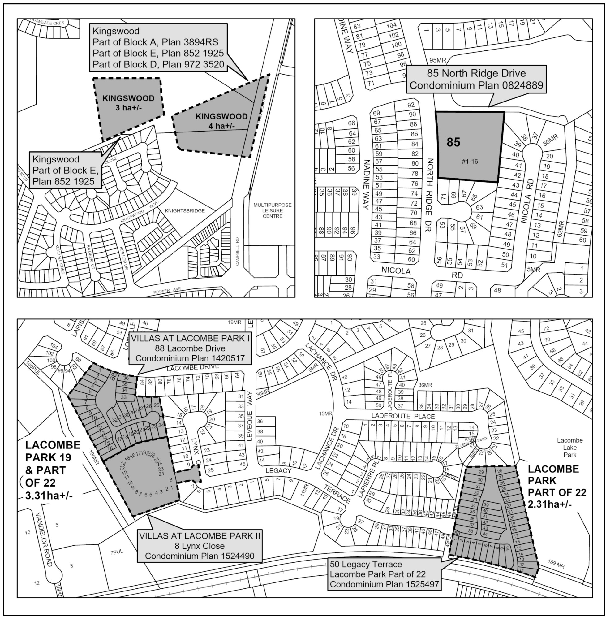
- Any amendments to the Area Structure Plan (ASP) means a statutory plan, as provided for in the MGA, which provides direction through policies on future development areas.'s impacting the Dwelling (Townhouse-Single) means a building comprised of three or more dwelling units, where each dwelling unit is on its own lot, and each unit has a separate, direct entrance from the exterior to grade. sites shown in Figure 5-6 shall invalidate the opportunity to have townhouses on those sites, and no alternative Dwelling (Townhouse-Single) means a building comprised of three or more dwelling units, where each dwelling unit is on its own lot, and each unit has a separate, direct entrance from the exterior to grade. can be placed within the MDR District.
Figure 5-6
Sites for Dwelling (Townhouse – Single) in accordance with an Area Structure Plan
Last edited: February 3, 2026

